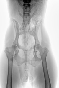
Die Spinone ltaliano Hündin „Ajenna“ gerufen Jenna, geb. April 2013, wk, ist am 06. Oktober 2015 auf der unweit entfernten Bundesstraße vor ein Auto gelaufen und wurde angefahren. Durch den seitlichen Aufprall auf die linke Körperseite kam es zu einem stumpfen Trauma im Brustbereich mit Lungenrissen und das Becken wurde mehrfach frakturiert. Wie auf den RÖ-Bildern zu sehen, war das Schambein verschoben, das Becken gebrochen, aber die größte Sorge machte uns die Fraktur im caudalen Bereich des Acetabulums. Da der Hund das Hinterbein mäßig belasten konnte und die Band- und Kapselstrukturen des Hüftgelenkes scheinbar intakt und nicht gerissen waren (der Femurkopf war nicht luxiert), sah der hinzugezogene Orthopäde von einer sofortigen OP ab und wollte zunächst den Heilungsverlauf beobachten.
Jenna wurde für die Dauer von ca. 4-6 Wochen in einer großen Hundebox untergebracht und an kurzer Leine täglich wenige Minuten Gassi geführt.
Auf der Kontroll-RÖ-Aufnahme vom 19. Okt. konnte noch keine Kallusbildung festgestellt werden.
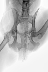
Die Aufnahme vom 04. Nov. zeigte bereits eine beginnende Kallusbildung und mit Absprache des Orthopäden wurde ab dem 03. Dez. mit Physiotherapie, d.h. Unterwasserlaufband begonnen. Fast zeitgleich konnten wir ab Mitte Dez. Ihr Ergodyn VET-Line Gerät zum Einsatz bringen. Die Physiotherapie erfolgte zunächst nur einmal pro Woche, aber das Ergodyn haben wir fast täglich an den Hund angelegt. Beginnend mit 5 Minuten und steigernd auf 15 Minuten.
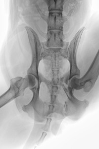
Auf der RÖ-Aufnahme vom 06. Jan. 2016 ist eine deutliche Kallusbildung an allen Frakturstellen zu erkennen. Wir machten uns allerdings Sorgen, dass es zu einer überschießenden Kallusreaktion am caudalen Bereich des Acetabulums kommen könnte, die dann die Bewegung des Femurkopfes einschränken könnte. Ab Januar wurde die Physiotherapie / Unterwasserlaufband dann zwei Mal wöchentlich durchgeführt und zu Hause mit isometrischen Übungen (wie Trampolin-Wippen, auf 3 Beinen stehen, Podesttraining usw.) begonnen, um die immer noch schwachen Oberschenkelmuskeln zu trainieren. Gleichzeitig haben wir das Ergodyn Gerät jeden zweiten Tag eingesetzt, mit längerer Anlegezeit (ca. 15-20 Min.).
Die letzte RÖ-Kontrolle habe ich am 03. Feb. gemacht und da die Kallusbildung bis dahin weitestgehend abgeschlossen war und der Orthopäde uns grünes Licht gegeben hatte, habe ich Ihr Therapiegerät daher ausschleichend benutzt, d.h. etwa 3 Mal pro Woche für 15 Min.
Schlußendlich muß man sagen: der Hund hatte enormes Glück
- den Unfall überlebt zu haben
- eine Physiotherapeutin mit entsprechendem Equipment „in der Familie zu haben“
- Ihr Ergodyn-Therapie-Gerät nutzen zu dürfen
Denn auch der Orthopäde ist bis heute über den Verlauf und das bisherige Ergebnis der Frakturheilung ziemlich sprachlos und hat mir nahegelegt, meinen Hund nicht weiter mit Kontroll-Röntgen-Aufnahmen zu belasten, „er würde ja schon Im Dunkeln leuchten“!
Jenna läuft mittlerweile völlig beschwerdefrei, die linke Oberschenkelmuskulatur ist zwar nicht wieder komplett ausgebildet wie auf der rechten Seite, aber in der Laufbewegung sieht man fast keinen Unterschied mehr.
Und falls es in Zukunft zu einer schmerzhaften Arthrose im caudalen Bereich des Gelenkes kommen sollte, was wir alle nicht hoffen, werde ich das Therapiegerät wieder gern verwenden (bevor der Orthopäde zum Messer greift und den Femurkopf resezieren will).
Wir, meine Eltern und ich, danken Ihnen nochmals ganz herzlich für Ihre schnelle Hilfe und verbleiben mit den allerfreundlichsten Grüßen Melanie Christ – Tel.: 0151/21218091









